資材置き場・駐車場用地 日高市田波目

2,180万円

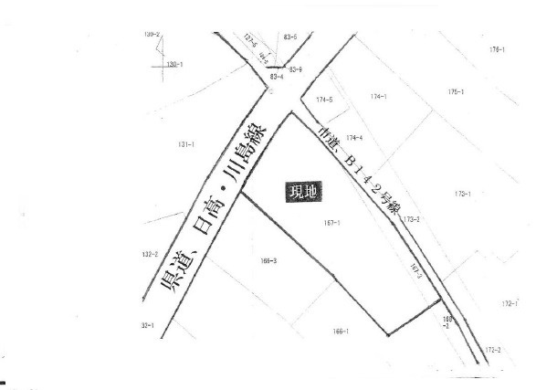
埼玉県日高市大字田波目

東武越生線「西大家」駅徒歩18分

価格
2,180万円
坪単価
4.27万円(510.01坪)
所在地
埼玉県日高市大字田波目
交通

東武越生線西大家」駅 徒歩18分

土地面積(坪数)
1686.00㎡(510.01坪)
建ぺい率 / 容積率
60% / 200%

セールスポイント

こだわりポイント満載の資材置き場・駐車場用地 日高市田波目。利便性の高い立地で、資材置場の建設にも適した立地となっています。平坦地なので、傾斜地よりも工事費をダウンさせやすいですよ。環境の良いエリアにある売地です。日高市にある東武越生線西大家周辺の土地に関するお問い合わせでしたら、info@saitamakaihatu.jpか0120-25-2996までいつでもお待ちしております。

ポイント

【売買】資材置場 駐車場用地 整形地 土地500坪以上 平坦地

担当者のコメント

五十嵐 紀也

便利な立地で、例えば資材置場を建てる際にも好条件の立地です。また土地面積は1686㎡(公簿)と大型車両の駐車場にも適しています。傾斜地より建築が楽な平坦地です。経済面での圧迫が相場より低く、その分心に余裕が生まれる2,180万円の土地です。日高市エリアで土地購入をお考えなら、東武越生線西大家周辺はいかがですか。0120-25-2996、info@saitamakaihatu.jpまでお問い合わせをお待ちしております。

基本情報

販売区画数
-
総区画数
-
土地面積(坪数)
1686.00㎡(510.01坪)
坪単価
4.27万円
私道負担面積
割合
-
セットバック
建ぺい率 /
容積率
60% / 200%
高圧線下面積
-
傾斜地部分面積
-
路地状敷地
-
地目
雑種地
地勢
平坦
造成工事
完了予定
-
土地権利
所有権
建築条件
-
都市計画
市街化調整区域
用途地域
無指定
接道状況
一方(北西 公道)
国土法届出要否
不要
最適用途
資材置場用地
その他
法令上の制限
景観法/都市再生特別地区
取引態様
仲介
現況
更地
引渡条件
-
引渡時期
相談
取引条件の
有効期限
2025年12月27日

設備条件

設備条件
設備(その他)
    -

その他

物件番号
98788073
管理コード
-
情報更新日
2025年12月13日
次回更新予定日
2025年12月27日
取扱会社
  • 埼玉開発株式会社
  • 埼玉県日高市高麗川2丁目1-14 
  • TEL:042-985-3123
  • 埼玉県知事 (9) 第12696号
  • (公社)全日本不動産協会
備考
資材置場用地にもイチオシの立地で、周辺環境も好条件でニーズが高いですよ。土地のご購入をお考えなら、ぜひこちらの2,180万円の土地を。イチオシの土地面積1686㎡(公簿)の土地です。平坦地なので、擁壁・造成費用を削減できます。東武越生線西大家周辺で土地をお考えなら、埼玉開発までお問い合わせください。0120-25-2996まで見学のご予約も承っております。

周辺施設

  • ローソン 日高田波目店の画像

    コンビニエンスストア

    ローソン 日高田波目店

    312m(4分)

  • ファミリーマート 城西大学前店の画像

    コンビニエンスストア

    ファミリーマート 城西大学前店

    1507m(19分)

  • ローソン 鶴ヶ島上新田店の画像

    コンビニエンスストア

    ローソン 鶴ヶ島上新田店

    1685m(22分)

  • 奥田整形外科の画像

    外科

    奥田整形外科

    2091m(27分)

  • 日高市役所の画像

    市役所・区役所

    日高市役所

    2110m(27分)

  • 西坂戸三郵便局の画像

    郵便局

    西坂戸三郵便局

    2492m(32分)

  • ホワイト急便 西坂戸店の画像

    その他

    ホワイト急便 西坂戸店

    2533m(32分)

  • 西入間警察署 西坂戸駐在所の画像

    警察

    西入間警察署 西坂戸駐在所

    2556m(32分)

  • 坂戸消防署西分署の画像

    消防署

    坂戸消防署西分署

    2780m(35分)

支払いシミュレーション

月々の支払額
9.6
購入希望物件価格
万円
頭金
万円
金利
%
返済額(ボーナス1回分)
万円
返済期間

※ボーナスは自動で年2回分で計算されます。

近隣の物件

  1. 建築条件なし 日高市高岡・売地 34条12号

    日高市大字高岡

    - (338.10㎡)

    1,580万円

  2. 上物付き売地 188坪 日高市梅原

    日高市大字栗坪

    - (621.65㎡)

    1,980万円

  3. 建築条件なし 日高市梅原 全4区画 A区画

    日高市大字梅原

    - (305.45㎡)

    1,780万円

  4. 建築条件なし 日高市梅原 全4区画 C区画

    日高市大字梅原

    - (360.99㎡)

    1,680万円

資材置き場・駐車場用地 日高市田波目

資材置き場・駐車場用地 日高市田波目

2,180万円

-(1686.00㎡)

お気軽にお問い合わせください

LINEからお問い合わせ 無料お問い合わせ

埼玉開発株式会社

042-985-3123

9:00~18:00

(休:水曜日、年末年始、お盆)